Photos du jour : le typhon Maysak vu de l’espace
Les cyclones tropicaux sont des phénomènes météorologiques assez courants dans certaines parties du globe. Ils sont appelés typhons lorsqu’ils se situent au niveau du Pacifique Ouest. Toutefois, ils arrivent généralement un peu plus tard dans l’année, vers l’été. Mais le typhon « Maysak » est arrivé en avance en ce début 2015, le 5e à cette période depuis les enregistrements commencés dans les années 40 (source Wall Street Journal).
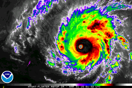
Les typhons et autres cyclones sont observés méticuleusement par les satellites d’observation de la Terre ou de météorologie, afin notamment de prévenir les personnes susceptibles d’être impactées au sol et de mettre en place des mesures de sécurité.



Maysak est un super typhon, seulement le 5e en 12 ans. Le 1er Avril, Maysak avait des vents soutenus de 240 km/h, l’équivalent d’un ouragan de catégorie 4 sur l’échelle de Saffir-Simpson Wind. Des rafales de vent jusqu’à 390 km/h ont été mesurées.

Mais les astronautes à bord de l’ISS sont bien souvent eux-aussi observateurs de ces phénomènes violents. Ils nous livrent alors des photos impressionnantes « vues d’en haut ». [lire d’anciens articles : » Le typhon Vongfong vu de l’espace » et « le typhon Neoguri vu de l’espace« ]
The eye of #Maysak typhoon really stands out early in the morning with the shadow being cast deep into the vortex pic.twitter.com/SodkijMt7O
— Terry Virts (@AstroTerry) April 1, 2015
Looking down into the eye – by far the widest one I’ve seen. It seemed like a black hole from a Sci-Fi movie #Maysak pic.twitter.com/hmdBStaY6r
— Terry Virts (@AstroTerry) April 1, 2015
More views of the eye- this was about 12 hours ago at sunrise, local time. Unbelievable. #Maysak pic.twitter.com/9Z6obnSVjh
— Terry Virts (@AstroTerry) April 1, 2015
Oblique view of #typhoon #Maysak's eye. It has lost definition since last night, almost looks like 2 distinct eyes. pic.twitter.com/oi5JR2fhNY
— Terry Virts (@AstroTerry) April 2, 2015
Супертайфун "Майсак", бушующий в Тихом океане // Super Typhoon Maysak swirling in the Pacific Ocean pic.twitter.com/HsOT5gVlz8
— Anton Shkaplerov (@Anton_Astrey) April 1, 2015
Ce typhon a dévasté de petites îles, notamment dans les États fédérés de Micronésie, et devrait s’affaiblir en arrivant sur les terres des Philippines. Les Philippines sont notamment touchées par environ 20 typhons chaque année, avec des degrés d’intensité variable. L’observation des cyclones par les satellites est donc plus que nécessaire.
Pour compéter :
- vous pouvez suivre en direct l’avancée de ce super typhon Maysak sur le site de la NOAA (National Oceanic and Atmospheric Administration) ou là : http://on.wsj.com/19CpWug
- vous pouvez suivre également le typhon sur Google Earth en téléchargeant l » »Overlay » sur le site du Joint Typhoon Warning Center (JTWC)






– ouragan (hurricane) en Atlantique Nord et Pacifique NE ;
– typhon en Asie de l’Est ;
– cyclone dans les autres bassins océaniques.
Un clone, ça va, six clones, bonjour les dégâts !
Amitiés,
Michel