L’ouragan dévastateur Matthew observé depuis l’espace
L’un des applications courantes de l’observation de la Terre depuis l’espace est la météorologie. Les satellites météo sont généralement positionnés en orbite géostationnaire, à 36000 km d’altitude, afin d’avoir une vue sur la moitié de la Terre à tout moment. Ces satellites permettent de faire les prédictions météo de tous les jours, mais surtout ils permettent d’alerter sur des phénomènes météorologiques violents et dévastateurs comme les typhons et les ouragans.
Une tempête devenue ouragan
La tempête tropicale Matthew qui a frappé les petites Antilles le 28 septembre s’est rapidement intensifiée en un ouragan majeur de catégorie 5 dans la nuit du 30 septembre au 1er octobre. Il a frappé Haïti et Cuba le 4 octobre puis les Bahamas et le sud-est des Etats-Unis du 6 au 9 octobre.
Cet ouragan est devenu meurtrier notamment en Haïti avec des vents jusqu’à 233 km/h et des pluies diluviennes. On peut comprendre pourquoi à partir des images prises de l’espace qui montrent son ampleur.
Pour en savoir plus sur les cyclones, typhons et ouragans, lisez ce dossier sur le site Météo France.
L’ouragan Matthew a été observé depuis la Station Spatiale Internationale
Dès le 3 octobre, les caméras à bord de l’ISS ont pu observer l’ouragan la veille de son arrivée au-dessus de Haïti
et le 6 octobre au-dessus des Bahamas
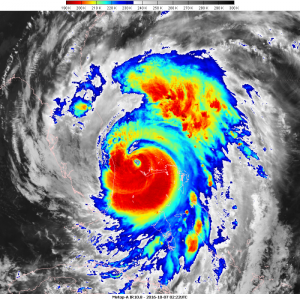
L’ouragan espionné par les satellites
Le satellite GOES-East de la NOAA, l’agence américaine d’observation océanique et atmosphérique, est l’un des satellites géostationnaires qui fournit des images en continu de la côte Est des États-Unis et de l’océan Atlantique.

En combinant des images micro-ondes de plusieurs satellites, l’évolution de l’ouragan est visible lors de sa traversée de Haïti, avec sa structure interne particulièrement virulente, qui s’affaiblit quelque peu en sortie des terres :

L’ouragan Matthew a vu se développer des murs de l’oeil concentriques révélateurs d’un ouragan violent. Un mur de l’oeil se compose de puissants orages dans la région immédiatement à l’extérieur de l’œil d’un ouragan. Ces tempêtes engendrent de très fortes pluies et des vents forts. Le satellite GPM (Global Precipitation Measurement) a capturé des images de doubles murs d’oeil.
L’ouragan est passé au-dessus de la Floride, et notamment de la base de lancement de Cap Canaveral où des dommages mineurs ont été observés.
A revoir, des images de typhons depuis l’espace : #typhon
Statistiques de Matthew (source Keraunos)
Après avoir vu ces images impressionnantes, il nous faut surtout penser aux populations ayant subi cet ouragan, et particulièrement à Haïti. Faites un don à Action contre la Faim ou Médecins sans Frontières par exemple.
A revoir, des images de typhons depuis l’espace : #typhon
En savoir plus sur Rêves d'Espace
Subscribe to get the latest posts sent to your email.






Sur les images en micro-ondes, on se rend compte que les grandes villes les plus touchées sont Les Cayes et Jérémie.
Inutile de rappeler que Haïti avait déjà subi le tremblement de terre (séisme) du 12 janvier 2010 avec plus de 230 000 morts…
Rapporté à la population française (11 Mh / 66 Mh), ce séisme nous aurait causé, en une seule journée, 1 380 000 morts, soit autant que la Première Guerre Mondiale (1 400 000) en 4 ans et 3 mois.
Et après Matthew, Nicole…
Alex, Bonnie, Colin (pas Clyde…), Danielle, Earl, Fiona, Gaston, Hermine, Ian, Julia, Karl, Lisa, Matthew, Nicole… ça en fait déjà 14 et ce n’est pas fini !
Et il y en a toujours qui confondent Haïti et Tahiti !…
suite
Liste des prénoms utilisés pour les cyclones sur la zone Atlantique (2013 – 2018)
2013
ANDREA – BARRY – CHANTAL – DORIAN – ERIN – FERNAND – GABRIELLE – HUMBERTO – INGRID – JERRY – KAREN – LORENZO – MELISSA – NESTOR – OLGA – PABLO – REBEKAH – SEBASTIEN – TANYA –
VAN – WENDY
2014
ARTHUR – BERTHA – CRISTOBAL – DOLLY – EDOUARD – FAY – GONZALO – HANNA – ISAIAS – JOSEPHINE – KYLE – LAURA – MARCO – NANA – OMAR – PAULETTE – RENE – SALLY – TEDDY – VICKY –
WILFRED
2015
ANA – BILL – CLAUDETTE – DANNY – ERIKA – FRED – GRACE – HENRI – IDA – JOAQUIN – KATE – LARRY –
MINDY – NIKOLAS – ODETTE – PETER – ROSE – SAM – TERESA – VICTOR – WANDA
2016
ALEX – BONNIE – COLIN – DANIELLE – EARL – FIONA – GASTON – HERMINE – IAN – JULIA – KARL – LISA –
MATTHEW – NICOLE – OTTO – PAULA – RICHARD – SHARY – TOBIAS – VIRGINIE – WALTER
2017
ARLENE – BRET – CINDY – DON – EMILY – FRANKLIN – GERT – HARVEY – IRMA – JOSE – KATIA – LEE – MARIA – NATE – OPHELIA – PHILIPPE – RINA – SEAN – TAMMY – VINCE – WHITNEY
2018
ALBERTO – BERYL – CHRIS – DEBBY – ERNESTO – FLORENCE – GORDON – HELENE – ISAAC – JOYCE –
KIRK – LESLIE – MICHAEL – NADINE – OSCAR – PATTY – RAFAEL – SARA – TONY – VALERIE – WILLIAM
© METEO FRANCE 2013
Bonjour
Sur ce blog lu > L’image satellite micro-ondes (MIMIC/CIMSS)
Une précision :
Il s agit d’une « reconstruction » (synthétique) à un pas de temps ajustable ( 15 mn, 1H,..) des « produits » d’observation « micro-ondes » (en particulier la température de brillance (Tb) à ~85 Ghz et TPW : Total Precipitable Water … déduites à partir de plusieurs « systèmes » spatiaux défilants ( SSM/I, SSMIS ( DMSP) , AMSR-2 ( GCOM-W1.. ) soit 2 passages / jour et non de l’image d un « satellite micro-ondes » !!
Référence (ancienne !): http://tropic.ssec.wisc.edu/real-time/mimic-tc/description.html ( AMSR-E et TMI/TRMM ne sont plus actifs)
Les (trops) belles images « satellites » ( si possible en couleur !) occultent parfois les dures réalités de la physique (mesures rayonnement et restitution « geophysique » , orbitographie, …)
Excellent blog !
Bonne continuation
Cordialement
Merci pour ces précisions. Je ne suis effectivement pas familière avec ce type d’images. Je vais modifier le texte en conséquence.